Kenmerken
- Type object:bouwgrond
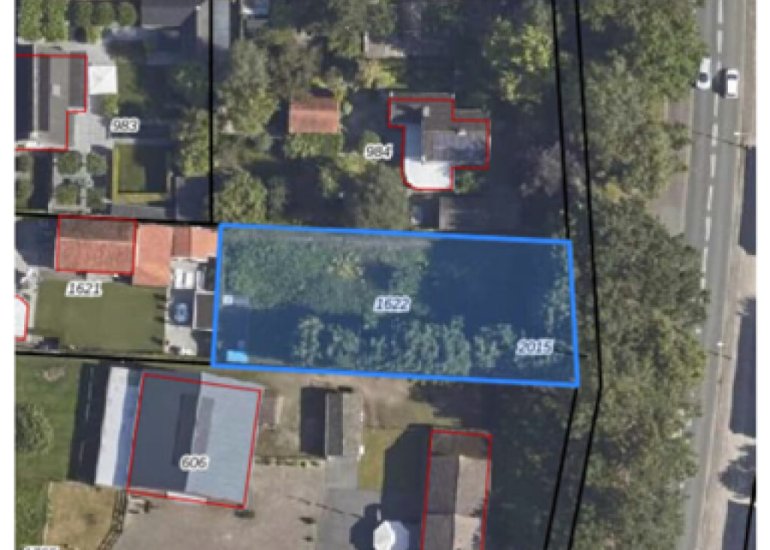
- Totale oppervlak:810m2
- Bewoonbaar oppervlak:0m2
Omschrijving
Altijd al je eigen woning willen bouwen? Dit royale perceel van 810 m² in Kapellebrug biedt de perfecte gelegenheid om jouw woondroom te realiseren.
Kapellebrug is centraal gelegen: je woont vlak bij Hulst met alle voorzieningen binnen handbereik, en je hebt een snelle verbinding naar Antwerpen en Gent via de nabijgelegen uitvalswegen. Daarnaast heeft de regio rondom Kapellebrug veel natuurschoon, met wandel- en fietsmogelijkheden. Dit kan aantrekkelijk zijn voor natuurliefhebbers of voor wie van buitenactiviteiten houdt.
Het is mogelijk om op het kavel een soortgelijke woning als de type Zandhove uit de Woningrijk serie te realiseren. De bouwhoogte is maximaal 10 meter en de goothoogte maximaal 6 meter.
Uiteraard heb je geen verplichting om met Woningrijk is zee te gaan. Graag informeren wij je over de mogelijkheden: https://woningrijk.nl/zandhove.html
Bijzonderheden:
Op het perceel rust geen bouwverplichting.
De grond is niet bouwrijp.
Vrije keuze aannemer.
Geen BTW van toepassing.
Neem vrijblijvend contact op voor meer informatie.
